| 提交询价信息 |
| 发布紧急求购 |
价格:电议
所在地:上海
型号:PIN针检测
更新时间:2023-03-27
浏览次数:1538
公司地址:中国 上海 嘉定区沪宜公路3128号嘉尚国际广场613室
![]()
陈瑞(女士)
我们专注于国际先进的传感器技术应用,在测量检测以及机器安全防护等方
面有着丰富的经验,为中国的自动化工厂提供可靠的技术方案和优质产品。
上海倍吉电子科技有限公司是德国HAAKE总代理,英国IDEM中国区总代理,德国LEZAZE
总代理,OMRON欧姆龙STI安全产品一级代理,意大利GAMMA总代理,安全触边,安全地毯
源头厂家。
激光测量技术,2D机器视觉,3D智能视觉系统,处于国际领先水平,为中国的自动化工厂提供
可靠的技术参考和案例介绍,以高品质的产品为“武器”,严格的国际标准为“命令”,为争取一个又一个
技术“高地”而努力。
我们为您提供工业安全 测量检测 机器视觉 3D智能视觉,期待着与您合作。
汽车零部件检测中的应用 接插件插针检测
汽车零部件行业中的产品生产和出厂前需要对产品的外观进行严格的质量监控,而已接插件为例,其产品出厂前对插针的位置都需要通过机器视觉技术替代人工进行质量检测。其中如插针相对位置、插针位置等检测精度要求高。传统的单一2D视觉解决方案很难实现深度信息获取和检测。同时分多工位的系统会造成空间和成本增加。

采用激光3D线扫相机搭配德国EVT eyevision软件,可以轻松满足多种检测需求,具有高的兼容性和稳定性。
检测项目
汽车电子接插件插针位置、深度检测,X,Y方向位置
检测精度:0.02mm ,深度方向精度: 0.003mm
项目难点
接插件插针位置检测对成像效果和软件检测能力要求很高;同时要满足检测精度和速度要求。
需要检测出插针位置的高度和水平偏移,并要求能实时显示出其相应位置,不合格位置红色显示。
要求具有深度学习功能,能和标准尺寸对照。
解决方案
采用Eyescan 线扫相机对接插件外观进行图像采集。

结合eyevision软件,对图像进行分析处理,找出各个插针
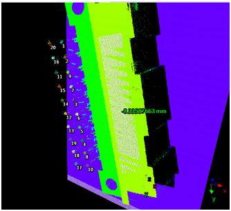
如下图,找到20个插针,编号1-20。

处理后的点云图像
将插针位置与提前示教好的标准位置对比,检查其偏差情况
(可以自由设置偏差公差范围),如下图,有一处不合格区域红色标出了。(此处显示高度值为与共关基准平面-9.4差值)

找出不合格区域
可以选择同时显示高度及水平偏移量

显示水平及高度偏移
实时结果显示,显示各个插针的X,Y,Z位置,并根据其偏差情况以不同颜色区分。

软件操作简单,结果显示简明直了,无需专业的编程知识就能轻松操作,易于产线复制和推广。
上海倍吉电子科技有限公司主要为您提供:
1.工业安全:STI安全产品,安全光幕,安全拉绳开关,安全激光扫描仪;英国IDEM安全门锁,电磁锁紧力门锁,非接触式安全门锁,拉绳开关,轴旋转开关,防爆安全门开关,不锈钢安全门开关,固定逻辑安全门开关;GAMMA安全触边,安全地毯,安全缓冲器;HAAKE常闭型安全触边,安全地毯。
2.测量检测:OPTEX激光测距传感器,激光位移传感器,2D激光传感器;德国LEAZE激光位移传感器,激光测距传感器,3D激光测量系统,长距离激光测距传感器。
3.机器视觉:COGNEX机器视觉,智能相机,PC-ba
1.机器视觉深度学习
2. 瑕疵检测
3.深度学习表面检测
倍吉视觉Bijoy Vision软件,具有深度学习功能,可用于表面瑕疵检测,划痕,杂质,毛边,缺陷,锈迹等各种表面不良。适用于纺织,电子,玻璃,金属加工,橡胶塑料等行业应用。技术直达
1. 机器人柔性无序抓取系统
2. 机器人拆剁码垛系统
3. 机器人的眼睛
Bijoy Vision倍吉自动化,提供机器人柔性无序抓取,上下料系统,杂乱无序排放的工件也可以轻松应对,可交钥匙工程,代替人工搬运,为机器人装上眼睛,节省大量成本。自动化直线
1. 三目视觉机器人在线涂胶检测
2. 3D涂胶检测
3. 360度涂胶检测系统
4. 鞋底涂胶引导系统
倍吉视觉Bijoy Vision, 开发的专用于涂胶检测视觉工具,方便灵活,对接各品牌机器人,机器人在线涂胶质量检测,无示教引导涂胶,同时检测胶高,胶宽以及3D点云图。欢迎咨询
我们有更多行业应用的案例,专业的工程师为您解答疑问。
免责声明:以上所展示的[PIN针检测 汽车零部件检测中的应用 接插件插针检测 PIN针检测]信息由会员[上海倍吉电子科技有限公司]自行提供,内容的真实性、准确性和合法性由发布会员负责。